“Possiamo solo sperare, rischi anche dal mare”: la paura degli italiani in Giamaica per l’urgano Melissa

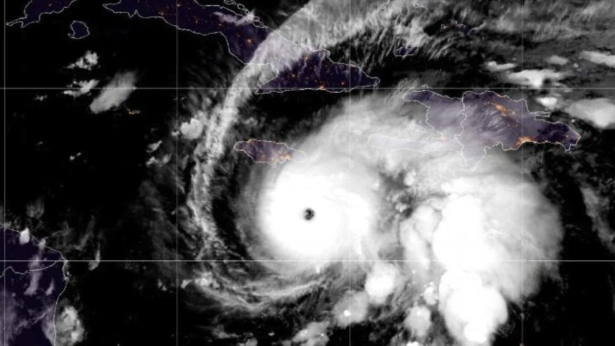
La Giamaica si sta preparando al terribile impatto dell'uragano Melissa, che ormai ha raggiunto categoria 5 ed è già stato responsabile di 3 morti ad Haiti. La tempesta si è formata il 21 ottobre e si muove molto lentamente, anche se continua a rafforzarsi.
"Il problema è che è di una lentezza unica, sta sotto l'isola senza raggiungerla da circa 3 giorni" ha raccontato a Fanpage.it Andrea, un operatore turistico in Jamaica, originario dell'Abruzzo. "Siamo in attesa, siamo pronti e l'unica cosa che possiamo fare è sperare che non ci siano causalità", dice.
"Per fortuna l'isola è più attrezzata rispetto a quando nel 1988 arrivò Gilbert", che rimane l'uragano più forte nella storia della Jamaica. La tempesta, infatti, uccise 45 persone nel suo passaggio. "Oggi molte case sono in cemento armato e hanno delle finestre anti-uragano", aggiunge ancora Andrea.
L'operatore turistico spiega anche che, secondo le ultime notizie, l'impatto maggiore dovrebbe essere nella parte ovest dell'isola, ossia nella provincia di Westmoreland, non lontano dalla nota destinazione turistica di Negril.
"La maggior parte dei turisti presenti hanno deciso di far rientro a casa non appena saputo dell'uragano, non ne sono rimasti molti" dice Andrea. "L'uragano farà sicuramente danni, come delle frane. Le strade probabilmente rimarranno bloccate. Ma a dare problemi sarà anche il mare, ci saranno onde molto alte".
Proprio a Negril vive Francesco, originario di Napoli. "Abbiamo fatto scorte di cibo e acqua, ieri c'erano lunghe file ai supermercati", ha detto a Fanpage.it. "Per il resto possiamo solo aspettare, sicuramente verrà meno la corrente quando ci sarà l'impatto", continua.
Negril non fa parte delle 7 zone a cui le autorità hanno dato ordine di evacuazione nella notte tra il 26 e il 27 ottobre. Tra queste, ci sono anche alcuni quartieri di Kingston, la capitale. Ma comunque, tutta l'isola è stata dichiarata a rischio.